ALERT!
This site is not optimized for Internet Explorer 8 (or older).
Please upgrade to a newer version of Internet Explorer or use an alternate browser such as Chrome or Firefox.
Airway Bypass Stenting for Severe Emphysema
Emphysema affects an estimated 60 million people worldwide. It is a disease associated with significant morbidity in the form of dyspnea and exercise limitation and mortality. The pathology behind this is the destruction of pulmonary parenchyma, both alveolar walls and interstitial tissue.
Introduction:
Emphysema affects an estimated 60 million people worldwide. It is a disease associated with significant morbidity in the form of dyspnea and exercise limitation and mortality. The pathology behind this is the destruction of pulmonary parenchyma, both alveolar walls and interstitial tissue. The physiological features are those of a loss of elastic recoil leading to airflow obstruction with resting and dynamic hyperinflation. In turn, this compromises the mechanics of breathing, eventually leading to respiratory failure.
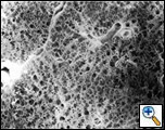
Figure 1 - Lung cut sections showing normal lung (left; A) and severe emphysema (right; B). Note the contiguous macroscopic dilated airspaces in the latter.
The destruction of the lung parenchyma is typically visible macroscopically at postmortem examination, or during life on high-resolution computerized tomography (HRCT) scanning (Figure 1). It has been noted that gases can pass from one lobule or even lobe into an adjacent lobule or lobe through pathological ‘collateral ventilation’ pathways [1]. In contrast to normal subjects, Terry and coworkers [2] noted in emphysematous patients that the resistance in these collateral paths fell with increasing lung distension, while the resistance actually rose in the native airways. This led Macklem to propose the possibility of using these low resistance paths to ventilate the lung directly through an opening in the chest wall (a spiracle), ‘bypassing’ the obstructed airways [3]. Spiracles represent a normal mechanism for gas exchange in insects and sharks.
Utilizing these concepts, and his experiences with surgical lung volume reduction for emphysema, Joel Cooper and Washington University colleagues hypothesized that the creation of direct passages between the airway and the pulmonary parenchyma would decrease hyperinflation, thereby improving lung mechanics and decreasing airflow obstruction [4]. They describe a series of 12 explanted human emphysematous lungs taken at the time of transplantation and evaluated in a pressure chamber before and after the insertion of 3-5 small airway-parenchymal stents. After 3 stents the forced expiratory volume in one second (FEV1) went from 245+107 to 447+199 ml (p<0.001). This increased to 666+248 ml (p<0.001) with a further 2 stents. Further preliminary work in humans and animals has confirmed the feasibility and safety of the airway bypass procedure [5,6] and with a commercial sponsor (Broncus Technologies, Inc, Mountain View, CA) Phase II studies are underway [7].
Patient Selection and Technique:
The Exhale® Airway Bypass Procedure currently targets ambulant stable patients with severe bilateral emphysema and hyperinflation (i.e., FEV1 <40% predicted, residual volume >220% predicted, total lung capacity > 133% predicted). It aims to significantly decrease residual volume, which in turn will lead to an improvement in dyspnea and quality of life [7]. Studies suggest that reduction in RV is the basis for improvements in lung function following volume reduction interventions [8] and is the most sensitive physiologic measure of treatment response in emphysema patients [9].
The procedure is performed using a 4.8mm flexible fiberoptic bronchoscope (with a 2mm operating channel) via a large endotracheal tube or rigid bronchoscope under general anesthesia [5,6] (Video 1). A Doppler catheter (Broncus Technologies, Inc.) is introduced into the airway via the working channel to detect peribronchial vessels. A suitable site, without adjacent vasculature, is then carefully chosen at a segmental or subsegmental level. Ideally, this site will correlate with the areas of most severe destruction as noted on the preoperative HRCT. After removal of the Doppler probe a combination 25 gauge needle and 2.5mm balloon catheter (Broncus
Technologies, Inc.) is used to puncture the airway wall and create an opening for a stent. The needle is withdrawn and the passage is re-checked with the Doppler probe, listening for any signal that would indicate blood flow. After removing the Doppler probe, a combination stent and balloon catheter (Broncus Technologies, Inc.) is placed into the new opening and the stent is deployed by inflation of the balloon. The specifically designed stainless steel, silicone rubber coated, stent expands to 3mm long and 3mm wide (Video 2). It is usually possible to view through the stent out into the emphysematous lung parenchyma (Figure 2). The procedures 30-120 minutes, depending on both the precise bronchial and vascular anatomy and the number of stents placed (currently up to a maximum of 6).
Video 1
Video 2
Specific intraoperative complications of the procedure relate to the potential for airway hemorrhage, pneumothorax, and other air leaks. Careful scanning of the site of airway vessels with the Doppler is critical to minimize prospects of hemorrhage; utilizing this approach Choong reported 8 minor bleeding episodes in the placement of 157 stents in 25 dogs [10], while Lausberg reported the placement of 47 stents in 15 humans with 2 easily managed bleeding episodes (<20ml, treated with suction and topical adrenaline) [4]. However, one death occurred following intraoperative bleeding in the most recent series of 30 humans [7,11]. One pneumothorax treated with intercostal tube placement was described in the series of 70 stents placed in 12 dogs [6] while Lausberg’s human series did not detect any pneumothoraces.
To date some 30 humans have undergone an Airway Bypass Procedure according to the protocols described above [7], with a larger randomized trial on the horizon [11]. Results for the 30 patients have not yet been published. Currently, published efficacy data is limited to discussions of stent patency in the dog model [6,10]. Compared to untreated stents, Choong has demonstrated improved patency of stents repeatedly painted topically with 0.2ml of 1mg/ml Mitomycin C or stents eluting paclitaxel [6,10]. Indeed, 65% of 107 paclitaxel stents in 25 dogs were noted to be still patent at 12 weeks [10].
Discussion:
Therapies that can improve the troubling clinical symptoms of emphysema are sorely needed. Based on the presented early animal and human work, the Airway Bypass procedure has a significant potential to do this. The balance of safety versus efficacy is critical, but in the symptomatic, severely obstructed and hyperinflated diffuse emphysema patient, lung transplantation may be the only alternative therapy and risks should at least be considered in this context. Efficacy is not yet proven. It is likely that efficacy will at least be related to the duration of patency of the stents; to this end Choong’s evolving work with drug eluting stents is promising [10]. Alternatively, when stent obstruction occurs, it may prove possible to reopen blocked stents or repeat the initial procedure in an adjacent airway.
Conclusion:
It is now technically feasible to place small stents safely from the airway through into the lung parenchyma in humans with severe emphysema. The extent and durability of the clinical and physiological improvement associated with this novel therapy are yet to be realized, and the early results of the current human studies are keenly awaited.
Note: All photos and videos provided courtesy of Broncus Technologies. The author has no personal direct financial affiliation with Broncus Technologies, but is a Study Investigator of their Airway Bypass Stent.
References
- Woolcock AJ, Macklem PT. Mechanical factors influencing collateral ventilation in human, dog and pig lungs. J Appl Physiol 1971;30:99-115.
- Terry PB, Traystman PT, Thurlbeck WM. The resistance of collateral channels in excised human lungs. J Clin Invest 1969;48:421-431.
- Macklem PT: Collateral ventilation. New Engl J Med 1978;298:49-50.
- Lausberg HF, Chino K, Patterson GA, Meyers BF, Toeniskoetter PD, Cooper JD. Bronchial fenestration improves expiratory flow in emphysematous human lungs. Ann Thorac Surg 2003;75:393-398.
- Rendina EA, DeGiacomo T, Venuta F, Coloni GF, Meyers BF, Patterson GA, Cooper JD. Feasibility and safety of the airway bypass procedure for patients with emphysema. J Thorac Cardiovasc Surg 2003;125:1294-1299.
- Choong CK, Haddad FJ, Gee EY, Cooper JD. Feasibility and safety of airway bypass stent placement and influence of topical mitomycin C on stent patency. J Thorac Cardiovasc Surg 2005;129:632-638.
- www.clinicaltrials.gov/ct/show/NCT00207337?order=4 accessed 27 Oct 2005
- Ingenito EP, Loring SH, Moy ML, Mentzer SJ, Swanson SJ, Reilly JJ. Physiological characterization of variability in response to lung volume reduction surgery. J Appl Physiol. 2003;94:20-30.
- O'Donnell DE, Forkert L, Webb KA. Evaluation of bronchodilator responses in patients with "irreversible" emphysema. Eur Respir J. 2001;18:914-20.
- www.aats.org/annualmeeting/Abstracts/2005/printXML_1_68_68 accessed 20 Oct 2005
- Personal communication T Kramer, Broncus Technologies




